
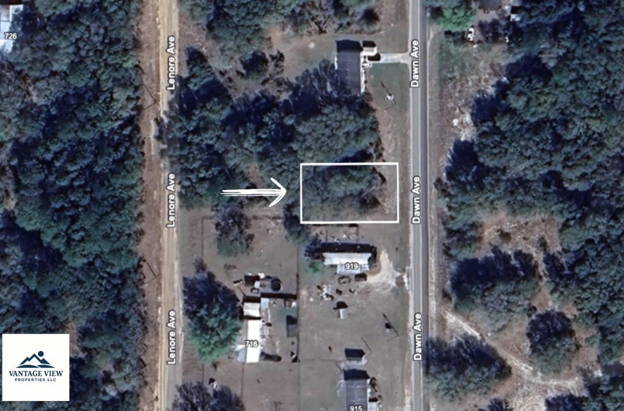
🌴 Paved Road - 0.22 Acres In Interlachen, FL This lot won’t last long! This 0.22-acre lot in Interlachen Lakes Estates offers the perfect opportunity to own land in Putnam County—whether you want a future homesite, weekend getaway, or a smart investment. ✅ Property Details: Parcel ID: 26-09-24-4076-0740-0300 Location: Interlachen, Florida – Putnam County Size: 0.22 acres Zoning: Residential (R-2) – allows single-family homes, mobile homes, and modular homes Utilities: Power nearby Access: Paved road access Taxes: Low yearly property taxes GPS Coordinates: 29.680080, -81.866942 ✅ Highlights: No HOA – freedom to use the property your way Just minutes from Interlachen and Palatka shopping & dining Surrounded by Florida’s famous lakes and fishing spots Close to Gainesville, Ocala, and an easy drive to the Atlantic coast